조황관리HOME / 조황관리 / 상세정보

제목 : #장호항#드림호#대구조황
등록일 : 2025-11-24
#장호항
#드림호
#대구낚시
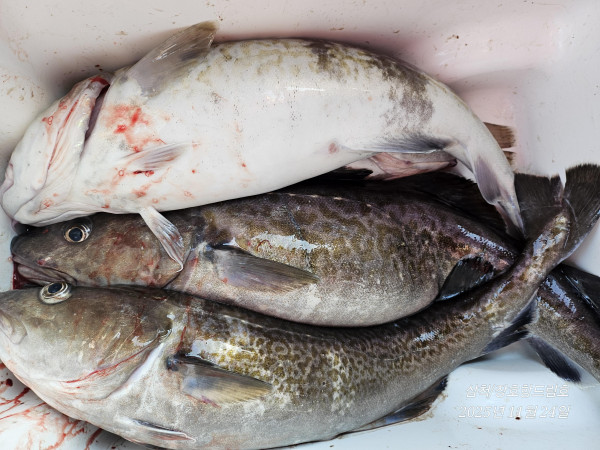
장호항 드림호 오늘의 대구조황입니다.
금일도 조류가 멈추어서 조금 아쉽네요.
고생들 하셨습니다.

20251124_074313.jpg


20251124_074645.jpg


20251124_081605.jpg


20251124_081809.jpg


20251124_081815.jpg


20251124_081817.jpg


20251124_082640.jpg


20251124_083048.jpg


20251124_084646.jpg


20251124_120548.jpg


20251124_124121.jpg


20251124_135219.jpg


20251124_135239.jpg


20251124_135256.jpg


20251124_135319.jpg


20251124_135330.jpg


20251124_135339.jpg


20251124_135351.jpg


20251124_135406.jpg


20251124_135229.jpg

 



*** 삼척 드림호 예약 안내 ***


예약문의 : 010-6766-4660

오시는길 : 강원도 삼척시 근덕면 장호길 99 (장호항활어회센타뒷편)

홈페이지 : https://janghodream.sunsang24.com/

 밴드       :https://band.us/@janghodream

모바일.jpg 


Top